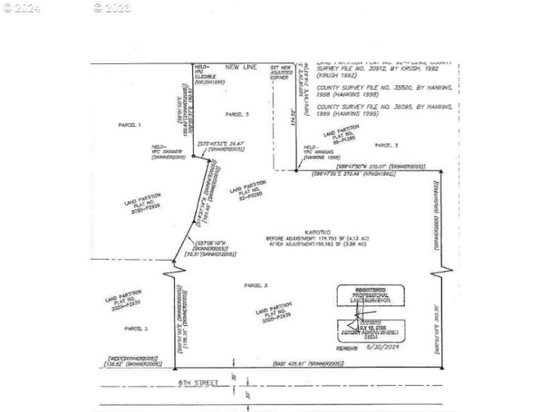
This large parcel has so much potential! Build your dream home or possibly subdivide on this 3.59 acre lot-buyer to do due diligence. Lowell offers many amenities including close schools, local shops, and Dexter Lake!
N Moss St to E 6th St
Dwelling Type: Land
Subdivision: N/A
Year Built: N/A, County: US
N Moss St to E 6th St
Listing is courtesy of Triple Oaks Realty LLC
Sign in to your account to continue