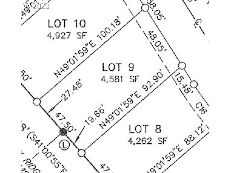
Lot 09 is 4,581 sq ft gentle upsloping, with wetland meadows view in a Brand New 108 Lot McMinnville Subdivision. See picture of lot plat map for dimensions. Lots ranging from 4,500 sq ft to 14,000 sq ft. Bring your own Builder. McMinnville Water and Light Utilities, Oak Ridge Meadows Amenities include a Nature Path, Views of Baker Creek, Wetlands and a Neighborhood Park with play structure. Listing Agent is a Trustee of Seller.
West on Baker Creek Rd, right on Oak Ridge Dr, left on Pinot Noir Dr, R on Tracy, R on Pinehurst
Dwelling Type: Land
Subdivision: OAK RIDGE MEADOWS
Year Built: N/A, County: US
West on Baker Creek Rd, right on Oak Ridge Dr, left on Pinot Noir Dr, R on Tracy, R on Pinehurst
Listing is courtesy of Premier Homes Real Estate