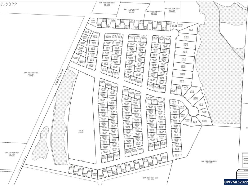
Just annexed & ready for your development. This gently sloping development property opens up unobstructed views of the valley & Peterson Butte. Located on the SW side of Lebanon, the ridge of the property will have views over the S. Santiam river basin. The Mixed-Use zone offers endless choices for the creative developer. Mix in High & low density with live/work options. Great location for easy commutes to Corvallis, Albany & Eugene. The wetland delineation map is completed review. NO DRIVEBYS
Vauhgan Ln to Stoltz Hill Rd
Dwelling Type: Land
Subdivision: N/A
Year Built: N/A, County: US
Vauhgan Ln to Stoltz Hill Rd
Listing is courtesy of Keller Williams Realty Mid-Willamette