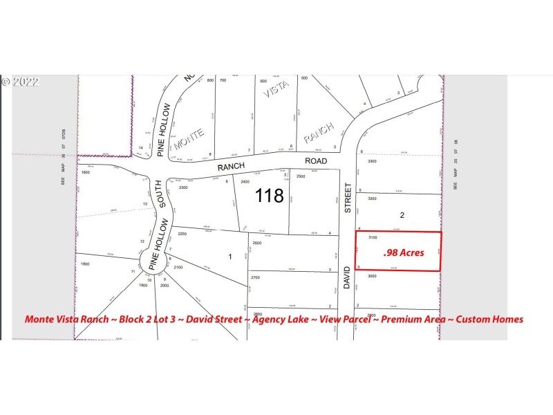
Large .98 acre parcel on hilltop that boasts snow capped mountain views and Agency Lake views. Nice maintained gravel road, large trees, minimal brush, gentle slopes and nice flat areas to build upon. Agency Lake, boat ramp, golf, Sprague River and Williamson River close by for your outdoor water recreation and fishing activities. Klamath Falls close by at about a 30 minute drive.
Ranch Road X David Street
Dwelling Type: Land
Subdivision: Monte Vista Ranch
Year Built: N/A, County: US
Ranch Road X David Street
Listing is courtesy of Cascade Land and Homes LLC