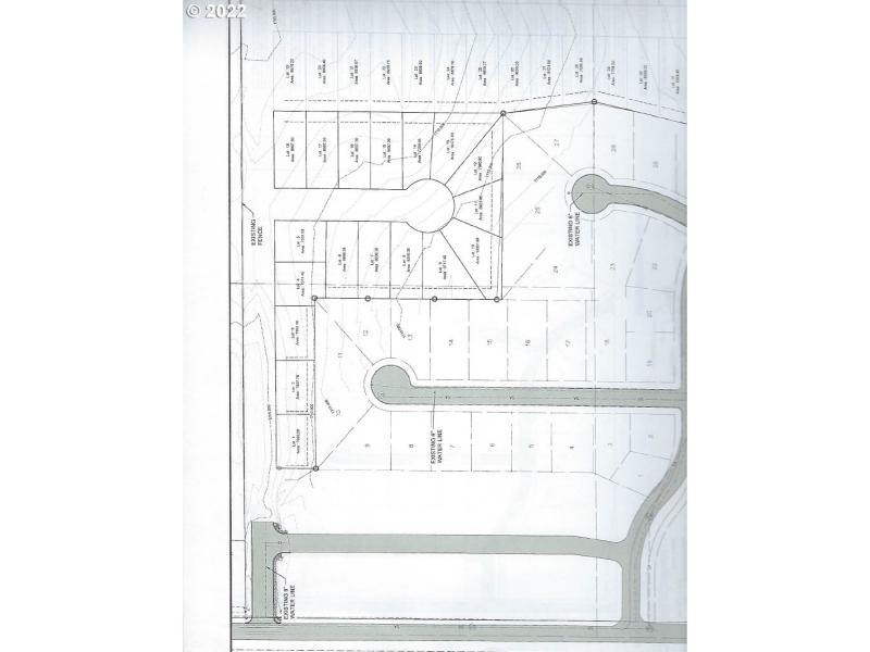
Welcome to The Highlands, Goldendale's newest and most desirable residential subdivision! This exclusive community offers 6 (R2) Duplex Building Lots, conveniently located inside the city limits. With lot sizes ranging from 7500' to 8700', you'll have plenty of space to create your dream home.The infrastructure in The Highlands is top-notch, with recently installed paved streets and underground city utilities. You'll enjoy the convenience and ease that comes with these modern amenities. Plus, for those who value connectivity, High Speed Fiber-optic internet is readily available.Situated just a quick 1-minute drive from the center of town, The Highlands offers the perfect balance between tranquility and accessibility. Whether you're looking for a peaceful retreat or easy access to local amenities, this location has it all.Your investment in The Highlands is protected by light CCR's (Covenants, Conditions & Restrictions), ensuring that your property retains its value over time. Feel free to reach out to your favorite builder or ask us for a local referral?we're here to help you bring your vision to life.As an added bonus, some parcels within The Highlands offer breathtaking views of Mt. Adams?a truly awe-inspiring backdrop for your new home.Don't miss out on this incredible opportunity! It's time to come pick your new homesite at The Highlands. Contact us today and let us assist you in making this dream a reality!
S. Columbus to 18th Street, one block to the parcels on the RIGHT, South side of the street
Dwelling Type: Land
Subdivision: N/A
Year Built: N/A, County: US
S. Columbus to 18th Street, one block to the parcels on the RIGHT, South side of the street
Listing is courtesy of Kelly Right Real Estate of Seattle LLC