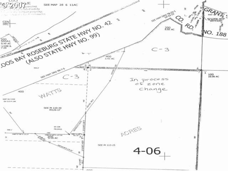
1.93 acres zoned c3. Water and sewer to the property. Incredible views. Can See I-5 North and South. Possibility for Hotel, restaurant, or other uses. Retirement center being built next door.
Grant Smith Road, first Right, up hill
Dwelling Type: Land
Subdivision: N/A
Year Built: N/A, County: US
Grant Smith Road, first Right, up hill
Listing is courtesy of Currieco Real Estate
Sign in to your account to continue